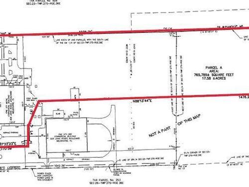
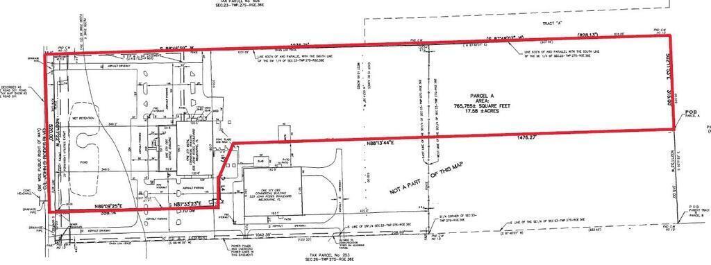
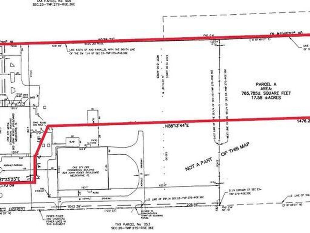
Excellent opportunity to purchase a 30,780 SF income producing industrial property in the heart of Melbourne! Interior has est. 9,060 SF Office + 21,720 SF Production/Integration. There is a total of +/- 17.51 acres of land so plenty of room for expansion. Tenant is Data Flow Systems, LLC. 5-Year lease term. Est. NOI is $225,000 (7% CAP). 100% HVAC and Fire Sprinklered. Utilities include City Water/Sewer, Fiber, and 3-Phase 266/480 V, 600 Amps. Property is located between Ellis Road & Eau Gallie Boulevard. Interstate 95 is a few minutes away. Surrounding employers include the Melbourne International Airport, Northrop Grumman, L3Harris and Amazon to name a few.