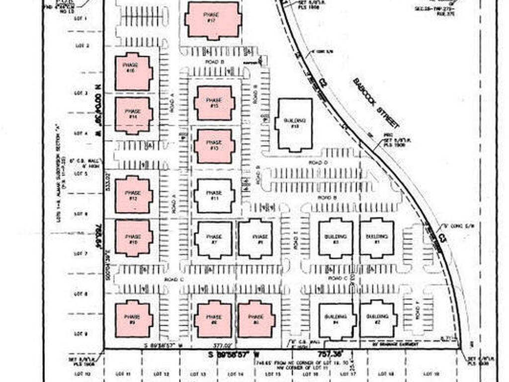
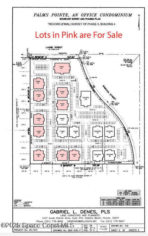
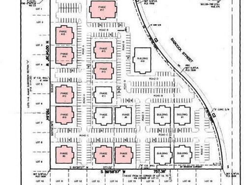
This ''lot'' is one of 9 lots that are all relatively identical. These lots are designed to fit four office condo units with a total area of 5,041 s.f. per building. Each condo unit (4 proposed in each building) could have a size of 1,260 s.f. each or any permutation of that multiple. This Lot has all parking, retention, water and sewer stub out and are flat and level and cleared. They are ready for development of a 5,041 s.f. building. This is a perfect location for a medical use since the hospital is located 2.3 miles or 6 minutes by car. The complex is well maintained and managed. Other owners/tenants include dentist, doctors, massage therapy, lawyer, insurance company, and Realtor. Amazing opportunity to own a free standing office building in the center of town with much of the work of development already completed.There are a total of 10 lots with 9 lots designed for 5041 s.f. buildings and one of approx. 7500 s.f. Asking price is for 1 lot for 5041 sf. blding. All avail.
Essential Information
Price: $275,000
Property Type: Vacantland
Acres: 0
Country: USA
City: Melbourne
Additional Property Info
List Price/Acres: $887,096.77 / acre
Listing ID: 1038299
Listing Status: Active
Lot Dimensions: 118 x 118 Various sized lots available
Property Type: Vacantland
State/Province: FL
Status: Active
Status Change Date: Wednesday, November 19th, 2025