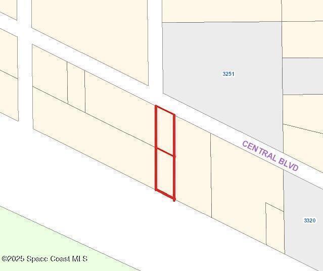
Two Lots close to 1/2 acre total. Lot 13 and 40. PID 1332342780000b0130 and 1332342780000b0400. Property stretches' from St Rd 60 through to Central Blvd in rear. Yeehaw Junction, Florida, offers a mix of outdoor activities and unique attractions. Popular options include airboat tours, exploring Kissimmee Prairie Preserve State Park, and visiting Middleton's Fish Camp. Other activities include birding, fishing, and geocaching.