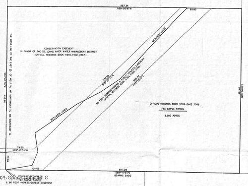
Excellent opportunity to purchase +/- 16.49 acres of M-2 Industrial land in the heart of booming Brevard County! Sale includes three parcels. Est. 1,234' total frontage on Grissom Parkway. Maximum depth is approximately 816'. There is a +/- 3.50 acre conservation easement in favor of SJWMD on the northwesternmost portion of the property. Traffic count is approximately 10,700 VPD on Grissom Parkway. Nearby utilities include City of Cocoa Water/Sewer, Natural Gas, and FPL Electric. Property is strategically positioned just off of SR 528 (Beachline Expressway), which is an immediate connector between Port Canaveral, US1, Interstate 95 and Orlando. Surrounding employers include Amazon, FedEx, SpaceX, Blue Origin and Cape Canaveral Space Force Station. Approximately 12-min drive to Port Canaveral. 20-minute drive to Kennedy Space Center. 35-min drive to Orlando International Airport.