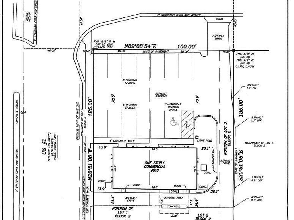
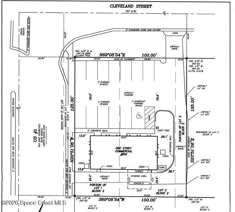
Excellent opportunity to purchase an 1,800 SF turnkey medical office in the heart of Sebastian! Interior includes a reception with checkin/out, waiting room, 2 plumbed exam rooms, 3 offices, a break room and 3 restrooms (1 with shower). Finishes include drop ceiling throughout; mix of carpet, tile and vinyl flooring. Utilities include Water, Septic (pumped 2024), and FPL electric. There are 14 asphalt paved/striped/illuminated parking spaces. Traffic count is est. 22,000 VPD on US1. Property is strategically positioned directly on US1 approximately halfway between the Indian River County Line and the Wabasso Causeway. Orlando Health Sebastian River Medical Center, Cleveland Clinic Indian River Hospital and the Vero Beach Regional Airport are a short drive away. Lots of golfing, waterfront dining and boating nearby. Make this the future home for your business today!