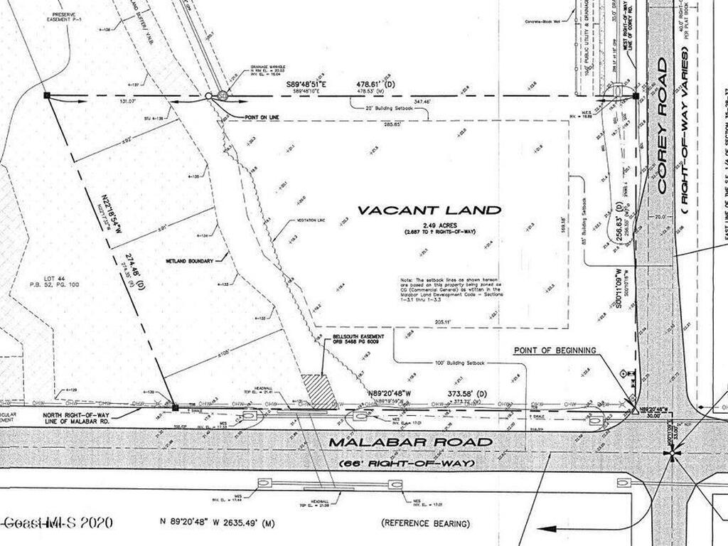
Excellent opportunity to purchase a +/- 2.49 acre corner property in the heart of Malabar! Est. 373' frontage on Malabar Road x 256' depth on Corey Road. Per Seller, City Water available via next door Stillwater Preserve Subdivision. Traffic count est. 15,300 VPD on Malabar Road. Straight shot to US1, Babcock Street, Interstate 95 and St. Johns Heritage Parkway. Health First Palm Bay Hospital and Eastern Florida State College are nearby. Lots of schools, restaurants, daycares and businesses in the area.