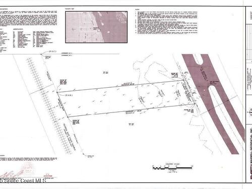
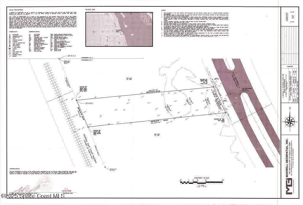
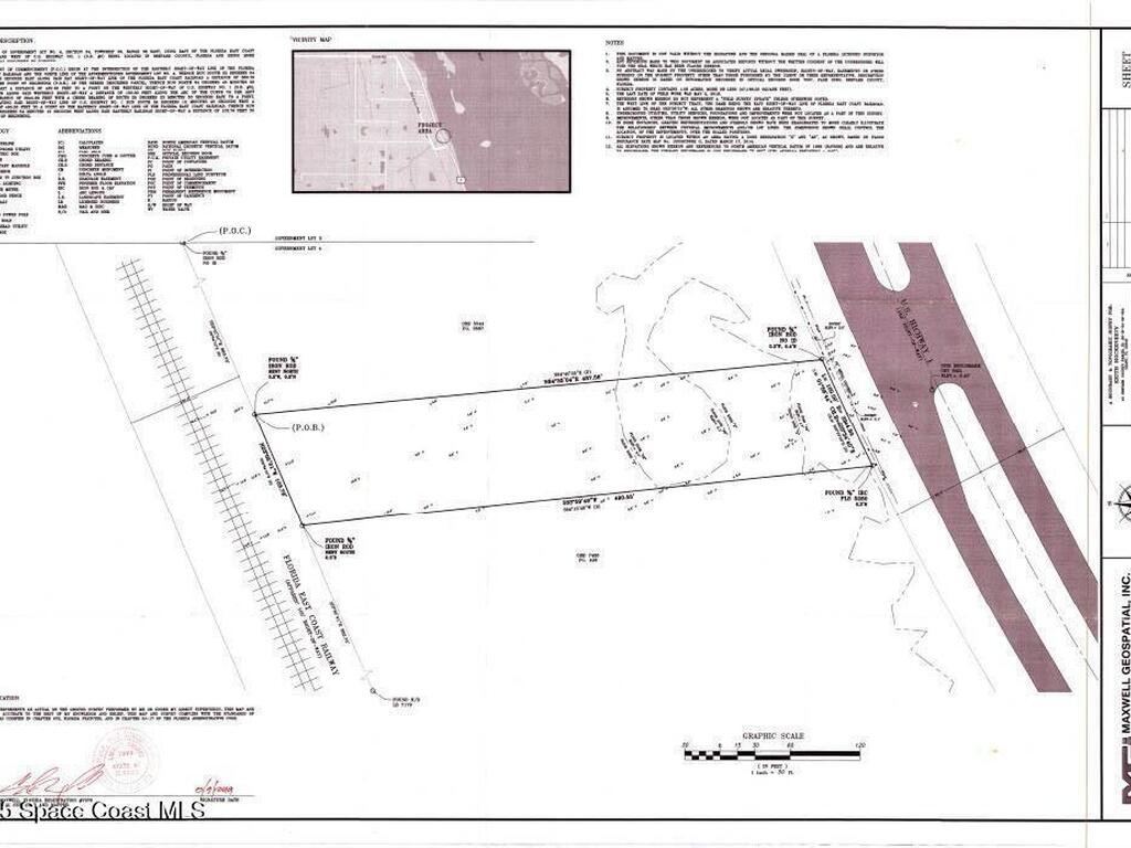
Accepting backups on this 1.08-acre property located in beautiful Grant, FL. Currently zoned commercial BU-1 this vacant land is perfect for a business endeavor, your dream home or as an investment. The charming Grant community is nestled between, and is approximately a 15-minute drive to, both Sebastian and Palm Bay/Melbourne. There are many boat ramps, parks and preserves nearby for your outdoor lifestyle along with many restaurants and shops located within a short drive. Area beaches are within a 30-minute drive as well. This property also has a turn lane for convenience as well as a culvert.